Locales

CRD pide al presdiente Abinader motorizar el levantamiento en SFM del Aeródromo Múltiple del Nordeste

Llama a verlo columna vital para el desarrollo industrial, agroindustrial y agroempresarial del país

SAN FRANCISCO DE MACORIS.- El Consejo Regional de Desarrollo (CRD) pidió al presidente Luis Abinader y a los liderazgos del país dar paso con urgencia y prioridad en esta ciudad al Aeródromo Múltiple del Nordeste, para impulsar un sólido desarrollo territorial del país, además, para relanzar las estructuras y las fuerzas productivas de las provincias Duarte, Hermanas Mirabal, Juan Sánchez Ramírez junto a las de las localidades Ranchito, Jima Abajo y Controba de la Provincia La Vega.

La entidad quien tiene entre sus ejecutivos a Monseñor Jesús María de Jesús Moya y los empresarios José Aníbal García, Pedro Octavio Alba, Joselyn Rodríguez Conde, Israel Brito y Adriano Cruz, dimensiona que la terminal aérea propuesta, se trata de una vital plataforma para nuestra nación afianzar un rumbo socioeconómico idóneo, además, para establecer las columnas que requerimos pro el desarrollo territorial que propone hacia el 2030 las estrategias formuladas para un desarrollo nacional equitativo y armónico.

Expone, que se trata de una estructura prioritaria, para impulsar y promover en el país sin más retardo una revolución agroindustrial, agroempresarial, tecnológica e industrial, además, para motorizar los cambios que ameritan las zonas rurales y sus habitantes, así como también, para aprovechar en su mayor dimensión, los valiosos recursos que detentan las comunidades que conforman el eje central del espacio territorial donde se ha proyectado la ejecución de la vía aérea.

Asimismo, valora que conjuntamente con el levantamiento del Aeródromo Múltiple, constituye una iniciativa importantísima y vital dotar de helipuertos a todos los municipios de las referidas provincias, por carecer de los mismos, pese al urgirlos y requerirlos para situaciones de emergencias y para el idóneo desenvolvimiento de sus diferentes actividades cotidianas. Iniciativas que considera necesario impulsarla también en todos los municipios del país.

En el referido sentido, resalta que para obtenerse reales transformaciones, se requiere considerar como inexplicable que una ciudad como San Francisco de Macorís vista como la tercera capital del país, ni siquiera tenga un helipuerto para situaciones de emergencias además, que por tan negativa situación, atraviesan los municipios que integran a las provincias Juan Sánchez Ramírez, Hermanas Mirabal, Duarte. La Vega, Monseñor Nouel y María Trinidad Sánchez.

Añade, que la terminal aérea su edificación resulta urgente para las fuerzas y estructuras productivas de las provincias a ser beneficiadas con la misma, como también para su eficiente comunicación con las demás regiones del país, además por ser una columna vital que urgen para su funcionabilidad sus instituciones públicas, hospitalarias. deportivas, turísticas, comerciales, industriales, entre otras.

Indica, que se tratan de infraestructuras cuya construcción no será cubierta con dinero proveniente del Presupuesto Nacional, sino a través de los fondos que maneja directamente para esos fines el Departamento Aeroportuario, que provienen de los pagos directos que hacen los pasajeros al viajar fuera y dentro del país y al entrar por nuestros aeropuertos.

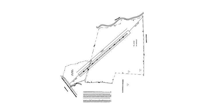
Señala, que junto a su esencial importancia, la suma a invertir en la construcción de la pista y del modesto edificio de la terminal del Aeródromo Múltiple, ha sido presupuestada en 80 millones por el Departamento

Aeroportuario, a ser cubierto por dinero de los fondos que maneja el referido organismo para construir aeropuertos domésticos y helipuertos, además, de que los sectores empresariales y productivos de la zona ha ofertado las obras colaterales que podría ameritar la terminal aérea una vez sea puesta en operación.

Recuerda, que el levantamiento del Aeródromo a ser edificado en la ciudad de San Francisco de Macorís, fue aprobado y ordenado por el Poder Ejecutivo hace varios mediante la emisión de un decreto, tras los estudios y el diseño realizado por medio de IDAC, el Departamento Aeroportuario, la Dirección Nacional de Meteorología y otros organismos, sólo estando a espera que el presidente Luis AbInader y los liderazgos del país procedan a su ejecución.

El CRD manifiesta finalmente, que en torno a las obras colaterales de soporte al levantamiento del Aeródromo Múltiple de República Dominicana y los helipuertos solicitados, existen propuestas formales al Estado dominicano del empresariado de las provincias de esta zona del país, además, de corporaciones extranjeras, las cuales fueron depositadas en el despacho presidencial en el Palacio Nacional y a la vez debidamente registradas en el Departamento de Correspondencia de la Presidencia de la República.

Publicidad

Publicaciones relacionadas

Botón volver arriba