
Tormenta Dorian aumenta a categoría 5 en su llegada a Bahamas
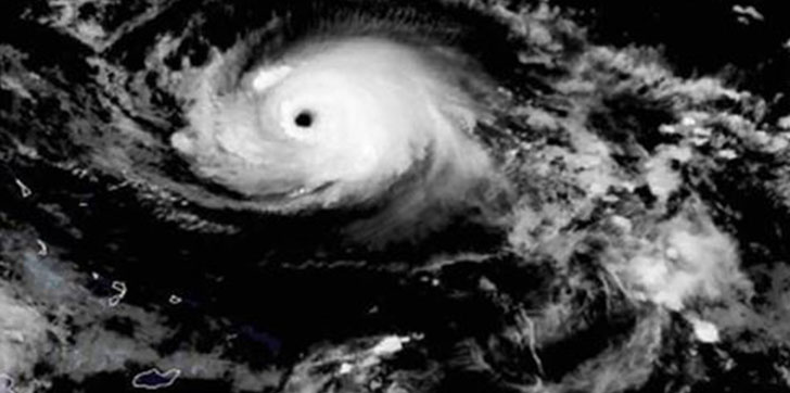
Miami, EE.UU.- El huracán Dorian se ha fortalecido en las últimas horas hasta alcanzar la categoría 5, la máxima en la escala Saffir Simpson, y encara este domingo el noreste de Bahamas, donde llegará con vientos de 260 kilómetros por hora (160 millas por hora).
Según el último boletín del Centro Nacional de Huracanes (CNH) de Estados Unidos, con sede en Miami, emitido a las 8.00 hora local (12.00 GMT), Dorian llegará al archipiélago con lluvias “muy intensas” y un aumento del nivel mar que puede destruir buena parte del archipiélago.
El NHC indicó que a esa hora Dorian estaba a unas 35 millas (55 km) al este de Ábaco y unas 225 millas (360 km) al este de West Palm Beach, en Florida.
Mientras que los pronósticos mantienen que antes de llegar al litoral de la región estadounidense Dorian cambiará el martes rumbo noroeste y se dirija, recorriendo toda la costa, hacia los estados de Georgia, Carolina del Sur y Carolina del Norte, mientras paulatinamente va perdiendo algo de fuerza.
Por eso, el mayor peligro está en las 48 horas, que Dorian estará sobre las islas más septentrionales de Bahamas, hacia donde dirige muy lentamente – a unas 8 m/h (13 km/h)-, lo que complicará todavía más la situación en esta zona.
Se esperan condiciones “devastadoras” en las islas Ábaco “muy pronto” y comenzarán a sentirse más tarde hoy en la de Gran Bahama -situada a 56 millas (90 km) al este de la costa de Florida-, alerta el NHC.
El ojo del ciclón, cuyos vientos huracanados se sienten hasta 30 millas (45 km) desde su centro, se prevé que se acerque a la costa este de Florida desde el lunes hasta el martes por la noche.





